7455 Kalanianaole Highway, Honolulu, Hawaii
ouvert de 6h à 19h -sauf le mardi -
prix $7.50 + 1$ pour le parking
prix de la location du masque et du tuba si vous n'en avez pas déjà un est de 15$
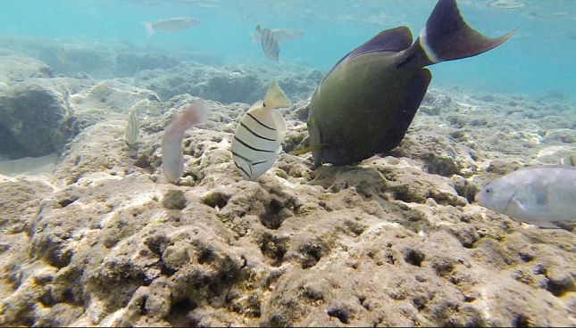
Hanauma Bay est une plage naturelle en forme de croissant dans la caldeira creuse d'un volcan éteint.
La baie est protégée par une formation volcanique et les eaux sont connues pour leur transparence,
La barrière de corail intérieure est parfaite pour la sécurité des enfants et des débutants

le cadre idyllique





